

-
專注于包裝設備的設計與生產
為您提供專業的包裝設備解決方案
-
全球服務熱線:
13416770167
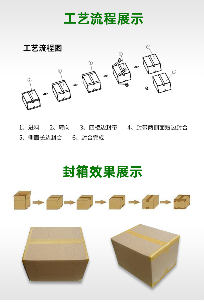
工字封箱機的封口牢固程度明顯高于一字封箱機
發布日期:2024-12-04
- 紙箱輸送:首先,將需要封箱的紙箱放置在工字封箱機的輸送帶上,輸送帶會將紙箱平穩地傳送至封箱位置13.
- 折蓋與定位:當紙箱到達指定位置后,機器的相關機構會自動將紙箱的蓋子按照預設的方式進行折疊,使其準備好接受封箱操作,確保箱蓋與箱體能夠準確對齊13.
- 膠帶粘貼:接著,封箱機的膠帶輸送系統會將膠帶輸送到封箱頭部位,封箱頭通過機械裝置施加一定的壓力,將膠帶緊密地粘貼在紙箱的上下長邊以及中間位置,形成 “工” 字形狀的封口,從而牢固地封閉紙箱134.
- 機架:作為整個封箱機的支撐結構,通常采用高強度材料制造,能夠承受較大的工作負荷,保證機器在運行過程中的穩定性3.
- 電控箱:內部配備了先進的電子控制系統,用于控制整個封箱機的運行,包括輸送帶的速度、封箱頭的動作、膠帶的輸送等,確保各個部件之間能夠協調工作4.
- 輸送帶:負責將紙箱輸送到封箱位置,其速度可以根據生產需求進行調節,并且能夠適應不同尺寸的紙箱,保證紙箱在輸送過程中的平穩性和準確性3.
- 封箱頭:是完成封箱作業的核心部件,它能夠自動感應紙箱的到來,控制膠帶的粘貼位置和力度,將膠帶牢固地粘貼在紙箱上,實現高效、準確的封箱3.
- 多點加固:通過在紙箱的上下長邊和中間位置粘貼膠帶,形成 “工” 字形狀的封口,這種多點加固的方式能夠使紙箱的封口更加牢固,有效防止紙箱在運輸過程中因受到外力撞擊、擠壓等而導致封口破裂,從而保護箱內物品的安全125.
- 壓力粘貼:封箱頭在粘貼膠帶時會施加適當的壓力,使膠帶與紙箱表面充分接觸并緊密貼合,增加膠帶與紙箱之間的摩擦力和粘附力,進一步提高封口的牢固程度3.
- 信號交互:工字封箱機可以與其他自動化設備,如生產線前端的裝料設備、后端的碼垛設備等進行信號交互。當裝料完成后,相關設備會向封箱機發送啟動信號,封箱機開始工作;封箱完成后,封箱機又會向后續設備發送信號,通知其進行下一步操作,從而實現整個生產流程的自動化銜接3.
- 參數自適應:一些先進的工字封箱機具備自動識別紙箱尺寸和形狀的功能,能夠根據不同的紙箱規格自動調整封箱參數,如膠帶長度、粘貼位置、封箱壓力等,無需人工手動調整,提高了生產效率和包裝質量,更好地適應了自動化生產中不同產品的包裝需求13


















